4623 3rd Avenue E, BRADENTON, FL 34208
Active
Property Photos
Would you like to sell your home before you purchase this one?
Priced at Only: $450,000
For more Information Call:
Address: 4623 3rd Avenue E, BRADENTON, FL 34208
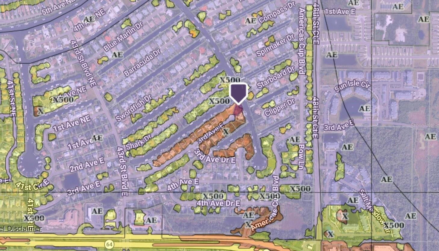
Property Location and Similar Properties
- MLS#: GC538030 ( Land )
- Street Address: 4623 3rd Avenue E
- Viewed: 26
- Price: $450,000
- Price sqft: $0
- Waterfront: Yes
- Wateraccess: Yes
- Waterfront Type: Canal - Freshwater,Canal - Saltwater
- Year Built: Not Available
- Bldg sqft: 0
- Days On Market: 48
- Additional Information
- Geolocation: 27.5027 / -82.5048
- County: MANATEE
- City: BRADENTON
- Zipcode: 34208
- Subdivision: Riverdale Rev
- Provided by: FLORIDA HOMES REALTY & MORTGAGE GVILLE
- Contact: Alena Knoepfler
- 352-240-1133

- DMCA Notice
-
DescriptionDiscover a rare opportunity in the heart of Bradenton an exceptional waterfront lot perfectly positioned at the edge of two scenic canals, offering panoramic water views and unmatched privacy. What truly sets this property apart is its elevation: one of the very few waterfront parcels in the area that is not located in a flood zone providing peace of mind without compromising your waterfront lifestyle. Tucked away on a quiet cul de sac, this homesite delivers the best of Florida living. Enjoy magnificent water views from sunrise to sunset, with breathtaking evening skies reflecting across the canals year round. Whether you're sipping your morning coffee by the water or entertaining guests as the sun dips below the horizon, every day feels like a retreat. For boating enthusiasts, this property offers direct access to the Manatee River and the open waters of the Gulf of Mexico no bridges, no barriers, just effortless navigation to world class fishing, waterfront dining, and endless Gulf adventures. Freedom is another luxury here: No HOA. No deed restrictions. Build the home you envision without unnecessary limitations. Perfectly positioned for convenience, you're just a short drive from the vibrant cultural scene of Sarasota, the waterfront energy of St. Petersburg, and the metropolitan attractions of Tampa all easily accessible via three major nearby airports. Indulge in world class shopping, award winning beaches, championship golf, and an array of fine dining destinations just minutes away. This is more than a lot its a canvas for your dream waterfront estate in one of Floridas most desirable coastal communities.
Payment Calculator
- Principal & Interest -
- Property Tax $
- Home Insurance $
- HOA Fees $
- Monthly -
For a Fast & FREE Mortgage Pre-Approval
Apply Now
Apply NowFeatures
Building and Construction
- Covered Spaces: 0.00
- Fencing: Partial
- Living Area: 0.00
Land Information
- Lot Features: Buildable, Corner Lot, Cul-De-Sac, Paved
Garage and Parking
- Garage Spaces: 0.00
- Open Parking Spaces: 0.00
Eco-Communities
- Water Source: Canal/Lake For Irrigation, Public
Utilities
- Carport Spaces: 0.00
- Sewer: Public Sewer
- Utilities: Other
Finance and Tax Information
- Home Owners Association Fee: 0.00
- Insurance Expense: 0.00
- Net Operating Income: 0.00
- Other Expense: 0.00
- Tax Year: 2025
Other Features
- Country: US
- Current Use: Unimproved
- Legal Description: LOT 239 RIVERDALE REV PI#10692.0000/2
- Area Major: 34208 - Bradenton/Braden River
- Parcel Number: 1069200002
- Possession: Close Of Escrow, Negotiable
- View: Trees/Woods, Water
- Views: 26
- Zoning Code: RSF4.5/C
Similar Properties
Nearby Subdivisions
- Cynthia Koenig
- Tropic Shores Realty
- Mobile: 727.487.2232
- cindykoenig.realtor@gmail.com







